精准农业技术包含信息获取、信息管理和决策及变量作业3个部分,其中如何方便、快速、准确、可靠地获取作物信息,已经成为实施精准农业关键的问题。养分生理指标作为作物内部指标,与作物生长的状态以及产量密切相关。如氮、磷、钾、锌等营养元素与作物生长状态密切相关,缺少任何一种元素都可能会引起植物的不正常生长;而氮、叶绿素含量、冠层参数等指标与作物的产量相关,可以作为作物产量预估指标;当作物受到环境胁迫时,其生理信息和外部形态都会发生改变,如受到病虫害侵染时,作物会作出应激反应产生酶以及某些产物。因此,作物当中一些特定的酶含量、氨基酸含量、蛋白含量的变化反映了作物在逆境中的状况,可以作为作物逆境胁迫响应指标。目前随着光谱传感技术和图像处理分析技术的日益发展,无人机与光谱软硬件的结合也越发纯熟。在农业、林业、资源、生态、环境保护等领域都得到了广泛应用。
作物的光谱特征是环境因子(生物因子和非生物因子)影响的结果。利用光谱和成像技术快速、无损地获取作物的养分生理信息,间接预估作物的产量以及监测作物长势与逆境胁迫响应,有助于实现农业精准化、数字化、信息化以及智能化管理作业。光谱成像技术将光谱分析技术和成像技术结合起来,它既能获取样本的光谱信息也能获取空间信息,并且能同时获取样本的物理特性和化学特性。光谱图像通常是三维(3D)的,由二维的空间信息和一维的光谱信息组成。根据波段的多少,光谱成像技术可以分为多光谱成像技术和高光谱成像技术。通常来说,高光谱成像技术获取的图像由大量连续的波段(几十个或几百个)组成,而多光谱成像技术的图像由一系列离散的波段(一般少于10个)组成。
高光谱图像的光谱分辨率更高,能够更好地获取样本的信息,对于监测作物信息精度更高。
养分指标检测
氮和叶绿素类含量是作物重要的养分指标,与作物产量密切相关。基于光谱和成像技术作物养分信息的获取根据是否直接利用光谱信息可分为基于直接光谱信息作物养分信息快速获取(如逐步多元回归、偏最小二乘、权重系数、支持向量机等)和基于植被指数作物养分信息快速获取。基于直接光谱信息作物养分获取即通过原始光谱处理建模检测作物养分信息,而基于植被指数的养分检测是通过建立植被指数与养分的模型进行分析。

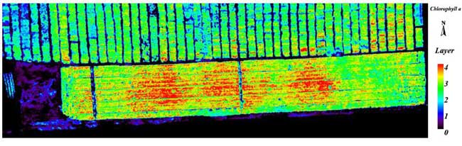
图1 无人机高光谱影像作物叶绿素a分布

图2 无人机高光谱影像作物氮素分布
地址:北京市海淀区中关村大街19号新中关B座北翼1701-1706室
电话:010-62634840
传真:010-82618238
邮箱:info@xpjxsb.com